Local Service Overview

Get Ants Extermination Service in Addison, TX

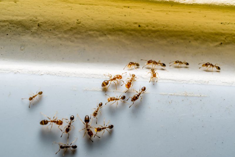
Ants extermination services for property owners in Addison, TX, and nearby areas address ant infestations, including nests, trails, and ongoing invasions, through professional removal and prevention solutions.

Addison, TX

Ants extermination services in Addison, TX are essential for property owners seeking to maintain a comfortable and safe environment. Ant infestations can compromise the functionality of a home or business by damaging structures, contaminating food, and creating nuisance conditions. Professional extermination providers use targeted methods to eliminate ant colonies effectively, helping to reduce ongoing maintenance needs and prevent future invasions. This not only enhances the overall safety of the property but also contributes to a more enjoyable living or working space.

Choosing expert ant control services can also boost curb appeal by ensuring the property remains free of unsightly trails and nests. Property owners often look for durable solutions that provide long-lasting results, minimizing the risk of recurring problems and the need for frequent treatments. With professional assistance, residents and business owners can enjoy peace of mind knowing their property is protected against ants, supporting a more functional and attractive environment.

Get Ants Extermination Service Quotes

  • Ant Infestation Removal - needed when ants invade kitchens, bathrooms, or other indoor areas.
  • Outdoor Ant Control - required to protect gardens, lawns, and outdoor living spaces from ant colonies.
  • Emergency Ant Extermination - necessary when a sudden, large ant swarm threatens residential or commercial properties.
  • Preventative Ant Treatments - used to reduce the risk of future ant problems in homes and businesses.
  • Specialized Ant Species Control - sought when dealing with specific ant types such as fire ants or carpenter ants in the area.

Get Ants Extermination Service Quotes

Ants Extermination Service
Ants Extermination Service
Ants Extermination Service

Ants extermination services involve identifying and removing ant colonies from residential, commercial, or industrial properties. Professionals typically conduct thorough inspections to locate ant nests and entry points, utilizing targeted treatment methods to eliminate existing colonies. These services often include the application of specialized insecticides or baiting systems designed to attract and eradicate ants effectively. The goal is to reduce ant activity and prevent future infestations, creating a more comfortable and hygienic environment for property occupants.

Ant problems can cause significant nuisances, including persistent trails, unwanted foraging near food sources, and potential damage to structures or stored goods. Ants can be difficult to control once they establish a colony, especially if left untreated, leading to recurring infestations. Professional extermination services help address these issues by implementing strategic treatments that target the source of the infestation, reducing the likelihood of ants returning. This approach not only resolves current problems but also helps maintain a cleaner, healthier space.

Properties that typically utilize ants extermination services include single-family homes, apartment complexes, restaurants, and retail stores. Residential properties often seek treatment to protect food supplies and prevent ant trails from becoming a nuisance. Commercial establishments, particularly those involved in food service or storage, prioritize pest control to meet health and safety standards. Additionally, warehouses and manufacturing facilities may require regular pest management to safeguard inventory and ensure compliance with industry regulations.

Professional ant extermination services are essential for addressing persistent or severe ant infestations that DIY methods may not resolve effectively. Local service providers offer tailored solutions suited to the specific needs of different property types and infestation levels. Contacting a professional can help identify the root causes of ant problems and implement comprehensive treatment plans. This ensures that properties remain free of ants, promoting comfort, safety, and cleanliness for residents and visitors alike.

The overview below groups typical Ants Extermination Service projects into broad ranges so you can see how smaller, mid-sized, and larger jobs often compare in Addison, TX.

In many markets, a large share of routine jobs stays in the lower and middle ranges, while only a smaller percentage of projects moves into the highest bands when the work is more complex or site conditions are harder than average.

Initial Inspection - The cost for an ant inspection typically ranges from $50 to $150, depending on the property size and complexity. Some providers may charge more for detailed assessments or multiple visits.

Per-Visit Treatment - Ant extermination services often cost between $100 and $300 per treatment visit. This includes application of bait, sprays, or dust in affected areas.

Full-Service Eradication - Complete ant control programs can range from $200 to $600, covering multiple visits and ongoing treatments if necessary. Prices vary based on the extent of the infestation and property size.

Preventive Treatments - Preventive ant control services generally cost between $150 and $400 annually. These services focus on barrier treatments and ongoing monitoring to keep ants away.

Actual totals will depend on details like access to the work area, the scope of the project, and the materials selected, so use these as general starting points rather than exact figures.

Get an Ants Extermination Service Quote

Ants Extermination services connect homeowners with local pest control providers experienced in eliminating ant infestations. These professionals utilize targeted treatments to address various types of ants in residential and commercial properties.

Residential Ants Extermination focuses on removing ant colonies from homes and yards, helping to restore comfort and prevent future invasions. Local service providers offer tailored solutions for different ant species commonly found in neighborhoods.

Commercial Ants Control services assist businesses in maintaining pest-free environments by implementing effective ant management strategies. Local pros are equipped to handle infestations in retail, office, and industrial settings.

Eco-friendly Ants Removal options are available through providers who use environmentally conscious methods to eradicate ants while minimizing chemical use. These services are suitable for clients seeking sustainable pest control solutions.

Emergency Ants Extermination services provide quick response options for urgent ant infestations that require immediate attention. Local pest control experts are available to address sudden or severe ant problems.

Prevention and Inspection Services include assessments to identify potential ant entry points and recommend preventative measures. Local professionals help reduce the risk of future infestations through thorough inspections and advice.

Ants Extermination Service

When evaluating ant extermination services, experience is a key factor to consider. Local pros often have extensive knowledge of the specific ant species common in areas like Addison, TX, and nearby communities. This familiarity can contribute to more effective treatment strategies and better long-term results. It’s helpful to review the backgrounds of different providers to understand their history in pest control, including how many years they have been serving the local community and their familiarity with regional pest issues.

Clear communication and written expectations are essential when working with a pest control professional. Reputable service providers typically provide detailed information about their treatment methods, what homeowners can expect during and after the service, and any necessary follow-up steps. Ensuring that these details are communicated in writing can help prevent misunderstandings and establish a transparent working relationship. Homeowners should feel comfortable asking questions and receiving thorough, easily understandable responses.

Reputable references and positive feedback from previous clients can serve as useful indicators of a local pest control provider’s reliability and quality of service. While direct reviews may not always be available through lead-generation platforms, many pros can provide references or testimonials upon request. Good communication and transparency are often reflected in how promptly and clearly a service provider responds to inquiries. When comparing local options, it’s advisable to consider these aspects alongside experience to find a provider capable of meeting specific ant extermination needs effectively.

Get an Ants Extermination Service Quote

Property owners in Addison, TX use Ants Extermination Service services for practical projects around their homes and businesses. The sections below highlight everyday jobs and straightforward project options.

Ants Extermination Service
Ants Extermination Service

Ants extermination services are commonly sought by property owners in Addison, TX, facing persistent ant infestations in residential or commercial spaces. These services are often needed when ants invade kitchens, pantries, or outdoor areas, causing discomfort and potential property damage. Local professionals can assess the extent of the problem, identify the ant species involved, and recommend appropriate treatment methods to effectively reduce or eliminate the infestation.

Property owners may also look for ant extermination when noticing ant trails or nests around their property, especially during warmer months. Ants can be attracted to food sources, moisture, or shelter, making regular inspections and targeted treatments important for maintaining a pest-free environment. Consulting with local extermination specialists can help address these common issues and prevent future ant problems in Addison, TX properties.

Get an Ants Extermination Service Quote

How do ant extermination services work? Ant extermination services typically involve identifying the ant species, locating their nests, and applying targeted treatments to eliminate colonies effectively.

Are ant extermination methods safe for pets and children? Most professional ant control treatments are designed to be safe for households when applied by experienced service providers; however, it’s recommended to follow any specific safety guidelines provided.

How long does an ant extermination treatment last? The duration of effectiveness varies depending on the treatment method and ant species, but many services offer ongoing prevention options to maintain control.

Will I need multiple treatments for a persistent ant problem? Some ant infestations may require multiple visits or ongoing treatments to fully eliminate the colony and prevent future activity.

How can I prevent ants from returning after treatment? Sealing entry points, removing food sources, and maintaining cleanliness can help reduce the likelihood of ants returning following professional extermination services.

Ants Extermination Techniques - Local service providers utilize a variety of methods including baiting, trapping, and residual insecticides to address ant infestations effectively.

Identifying Ant Species - Professionals can help determine the type of ants present to recommend the most appropriate treatment approach.

Preventive Measures - Experts offer advice on sealing entry points and removing attractants to reduce the likelihood of future ant problems.

Ongoing Monitoring and Maintenance - Service providers may suggest regular inspections to ensure ants do not return after initial treatment.

Ants Extermination Service

Considering Ants Extermination Service for a property in Addison, TX? The sections above highlight common project types, practical options, and details that often shape the scope of work.

When you are ready, use the quote form to share a few details about your project. Local pros can review the basics and respond with options that match what you have in mind.

Get an Ants Extermination Service Quote

Ants Extermination Quotes

Our Trusted Partners
Cantu Pest Control
Orkin
Hawx Pest Control