Local Service Overview

Get Ants Extermination Service in Sachse, TX

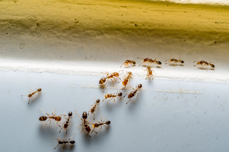
Ants extermination services for property owners in Sachse, TX, and nearby areas address ant infestations, prevent future invasions, and handle residential and commercial ant control projects.

Sachse, TX

Ants extermination services are essential for property owners in Sachse, TX who want to maintain a comfortable and safe living or working environment. Ant infestations can disrupt daily routines, cause property damage, and potentially introduce health risks. Professional extermination helps eliminate these pests effectively, reducing the likelihood of recurring issues and minimizing the need for ongoing maintenance. This ensures that properties remain functional and inviting, supporting the overall curb appeal of homes and businesses alike.

Choosing expert ant extermination services offers numerous benefits, including enhanced safety and peace of mind. Effective pest control can prevent future invasions, helping property owners avoid costly repairs and extensive cleanup. Additionally, a pest-free environment contributes to improved durability of structures and furnishings, while maintaining the aesthetic appeal of the property. Connecting with local service providers ensures tailored solutions that address specific ant problems, promoting long-term comfort and property value.

Get Ants Extermination Service Quotes

  • Ants Extermination Services are needed when homeowners or businesses notice ant activity inside or around their property.
  • These services are suitable for preventing ant infestations in residential yards and commercial spaces in Sachse, TX, and nearby areas.
  • Professional extermination is often required when ants have built large colonies or become difficult to eliminate with DIY methods.
  • Ant control services can address specific types of ants, such as carpenter ants or fire ants, that pose structural or health risks.
  • Contacting local pest control providers can help manage ant problems effectively before they become widespread.

Get Ants Extermination Service Quotes

Ants Extermination Service
Ants Extermination Service
Ants Extermination Service

Ants extermination services involve identifying and eliminating ant infestations within residential and commercial properties. Professionals typically conduct thorough inspections to locate ant colonies and determine the species involved. Treatment methods may include the application of targeted baits, insecticides, or barriers to prevent ants from entering the property. The goal is to reduce or eliminate the presence of ants, minimizing the nuisance they cause and preventing potential damage to structures or stored items.

These services help address common problems associated with ant infestations, such as persistent crawling and foraging activity, which can be unsettling for occupants. Certain ant species, like carpenter ants, can cause structural damage by excavating wood, while others, such as fire ants, pose health risks through painful stings. Extermination efforts also help prevent the spread of bacteria and other contaminants that ants may carry, ensuring a cleaner and safer environment inside the property.

Properties that typically utilize ant extermination services include single-family homes, apartment complexes, office buildings, and retail spaces. Homes with kitchens and food storage areas are particularly vulnerable to ant invasions, especially during warmer months when ants are more active. Commercial properties, especially those in food service or hospitality industries, often seek professional assistance to maintain hygiene standards and prevent infestations that could disrupt operations or lead to pest-related health violations.

Professional ant extermination services are designed to provide long-term control and peace of mind for property owners and tenants. By employing effective treatment strategies and preventive measures, local pest control providers help reduce the likelihood of recurring ant problems. Contacting a local pest management professional can ensure that the specific needs of a property are addressed with tailored solutions, helping to maintain a pest-free environment.

The overview below groups typical Ants Extermination Service projects into broad ranges so you can see how smaller, mid-sized, and larger jobs often compare in Sachse, TX.

In many markets, a large share of routine jobs stays in the lower and middle ranges, while only a smaller percentage of projects moves into the highest bands when the work is more complex or site conditions are harder than average.

Initial Inspection - The cost for an ant inspection typically ranges from $50 to $150, depending on the property's size and complexity. This fee often covers a thorough assessment to identify ant activity and entry points. Contact local pros for detailed quotes based on specific needs.

Basic Treatment - A standard ant extermination service usually costs between $100 and $300. This includes applying targeted treatments around the home’s perimeter to eliminate existing colonies and prevent future infestations. Prices may vary based on the extent of the problem.

Comprehensive Pest Control - For more extensive ant control, costs can range from $200 to $500. These services often include multiple treatments, barrier applications, and follow-up inspections to ensure complete eradication. Local service providers can provide tailored estimates.

Ongoing Maintenance - Ongoing or quarterly ant prevention plans typically cost between $150 and $400 annually. These plans involve regular treatments and inspections to keep ant populations under control over time. Contact local pros to explore available options.

Actual totals will depend on details like access to the work area, the scope of the project, and the materials selected, so use these as general starting points rather than exact figures.

Get an Ants Extermination Service Quote

Ants Extermination - Local pest control providers offer specialized services to eliminate ant infestations in residential and commercial properties in Sachse, TX and surrounding areas.

Ants Control for Homes - Pros provide targeted treatments to remove ants from indoor living spaces, helping to maintain a pest-free environment.

Ants Management in Businesses - Commercial pest control services help businesses address ant problems that could affect operations and customer experience.

Outdoor Ants Removal - Service providers implement barrier treatments and outdoor extermination methods to prevent ant colonies from spreading around properties.

Ants Prevention Strategies - Local experts advise on and apply preventative measures to reduce the likelihood of future ant invasions.

Eco-friendly Ants Treatment - Some providers offer environmentally conscious options for ant extermination that minimize impact on surrounding landscapes.

Ants Extermination Service

When selecting a professional for ant extermination services, experience is a key factor to consider. Local service providers often have extensive knowledge of common ant species and behaviors in specific areas like Sachse, TX, which can influence the effectiveness of treatment methods. Reviewing the backgrounds of these pros can help homeowners gauge their familiarity with local pest challenges and their ability to implement appropriate solutions. It’s beneficial to seek out providers who have a proven track record in ant extermination, ensuring they understand the nuances of handling infestations in residential settings.

Clear communication and well-defined expectations are essential when working with pest control professionals. Reputable local providers typically outline the scope of services, procedures, and any preparations homeowners should undertake beforehand. This transparency helps establish a mutual understanding and can prevent misunderstandings. Homeowners are encouraged to inquire about the process, including what to expect during and after treatment, to ensure the service aligns with their needs and concerns.

Reputable references and positive feedback from previous clients can serve as indicators of a trustworthy service provider. Local pros often have established relationships within the community, and their reputation is reflected through testimonials or recommendations from past customers. When evaluating options, it’s helpful to seek out references or reviews that highlight the provider’s professionalism, reliability, and effectiveness. Good communication and a transparent approach from the service provider can contribute significantly to a smooth and satisfactory pest control experience.

Get an Ants Extermination Service Quote

Property owners in Sachse, TX use Ants Extermination Service services for practical projects around their homes and businesses. The sections below highlight everyday jobs and straightforward project options.

Ants Extermination Service
Ants Extermination Service

Ants extermination services are often sought by property owners in Sachse, TX, who notice ant activity around their homes or businesses. Common situations include discovering trails of ants in kitchens, bathrooms, or other areas where food is stored or prepared. Property owners may also seek professional assistance when ant infestations become persistent despite using over-the-counter treatments, or when they want to prevent future invasions that could disrupt daily routines or compromise hygiene.

In addition to visible ant colonies, property owners might look for extermination services to address signs of underground nests or to protect landscaped areas from ant damage. These services can be important for maintaining a clean and pest-free environment, especially in homes with children or pets. Local pest control providers can offer targeted solutions to help manage and eliminate ant problems effectively.

Get an Ants Extermination Service Quote

How do ant extermination services work? Ant extermination services typically involve inspecting the property to identify ant colonies, applying targeted treatments to eliminate ants, and providing recommendations to prevent future infestations.

Are ant extermination treatments safe for pets and children? Many local service providers use treatments that are safe when applied according to instructions; it is advisable to discuss safety concerns with the chosen professional.

How long does an ant extermination treatment take? The duration of treatment varies depending on the extent of the infestation and the methods used, but most services aim to efficiently eliminate ant colonies within a single visit.

Will the ant problem return after treatment? While treatments can effectively eliminate existing colonies, ongoing prevention and sanitation measures are recommended to reduce the likelihood of future ant issues.

How can I prepare my home for ant extermination services? It is generally advised to keep areas accessible, remove food and water sources, and inform the service provider of any specific concerns prior to treatment.

Ants Inspection Services - Professionals can identify ant infestations and determine the extent of the problem to develop an effective treatment plan.

Ants Extermination Solutions - Local service providers offer targeted treatments to eliminate ant colonies and prevent future invasions.

Prevention and Barrier Treatments - Experts can apply barrier methods around properties to deter ants from entering indoor and outdoor spaces.

Ongoing Monitoring and Maintenance - Regular inspections and treatments help maintain ant-free environments and address new activity promptly.

Ants Extermination Service

Considering Ants Extermination Service for a property in Sachse, TX? The sections above highlight common project types, practical options, and details that often shape the scope of work.

When you are ready, use the quote form to share a few details about your project. Local pros can review the basics and respond with options that match what you have in mind.

Get an Ants Extermination Service Quote

Ants Extermination Quotes

Our Trusted Partners
Cantu Pest Control
Orkin
Hawx Pest Control