Local Service Overview

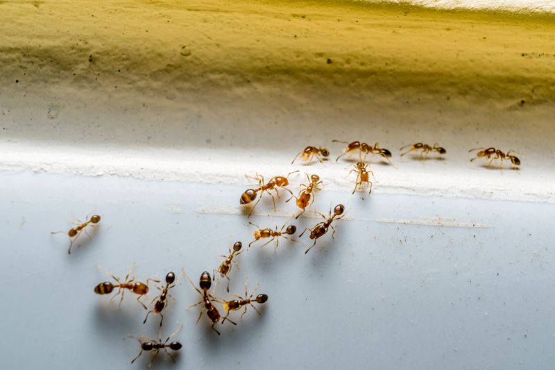
Get Ants Extermination Service in Euless, TX

Ants extermination services for property owners in Euless, TX, and nearby areas address ant infestations, prevent future invasions, and handle residential and commercial pest control projects.

Euless, TX

Ants extermination services are a practical solution for property owners in Euless, TX seeking to maintain a comfortable and functional living or working environment. Effective removal methods help prevent ant infestations that can disrupt daily activities, damage property structures, or contaminate food supplies. By addressing these issues promptly, property owners can enjoy peace of mind knowing their spaces remain safe, clean, and free from unwanted pests.

Choosing professional ant extermination services offers benefits such as enhanced durability of pest control efforts and reduced maintenance needs over time. Well-executed treatments can improve curb appeal by eliminating visible signs of pests and preventing future invasions. This proactive approach supports long-term property functionality, ensuring spaces remain inviting and well-preserved for residents, visitors, or customers.

Get Ants Extermination Service Quotes

  • Ants Extermination - Needed when ants invade residential or commercial spaces in Euless, TX and nearby areas.
  • Ants Prevention - Suitable for property owners seeking to avoid ant infestations before they start.
  • Ants Inspection - Recommended when suspecting hidden ant colonies within walls, foundations, or yards.
  • Ants Control - Required for immediate relief from large or persistent ant populations in affected areas.
  • Ants Barrier Treatments - Used to create a protective perimeter around properties to prevent ant entry.

Get Ants Extermination Service Quotes

Ants Extermination Service
Ants Extermination Service
Ants Extermination Service

Ants extermination services involve identifying and eliminating ant infestations within residential, commercial, or industrial properties. These services typically include thorough inspections to locate ant colonies and entry points, followed by targeted treatments using various pest control methods. The goal is to remove existing ants and implement strategies to prevent future invasions. Professionals may utilize baiting systems, residual insecticides, and other techniques to effectively address ant problems while minimizing disruption to the property.

Ant infestations can cause significant issues beyond mere nuisance. They can contaminate food supplies, damage structures by nesting in wood or insulation, and create unsanitary conditions that may attract other pests. Ants are also known to establish large colonies that can spread quickly if not managed promptly. Extermination services help resolve these problems by reducing ant populations and establishing barriers to prevent re-infestation, contributing to a cleaner and safer environment within the property.

Properties that commonly utilize ants extermination services include homes, apartment complexes, restaurants, retail stores, and office buildings. Residential properties often seek treatment to protect food storage areas and prevent damage to wooden structures. Commercial properties, especially those involved in food service or retail, prioritize pest control to maintain hygiene standards and comply with health regulations. Industrial facilities with large storage or manufacturing areas may also require regular pest management to control ant populations and safeguard their operations.

Professional ant extermination services are tailored to the specific needs of each property type and infestation severity. Local service providers assess the extent of the problem and recommend appropriate treatment plans. They may schedule follow-up visits to monitor the situation and ensure the effectiveness of the treatment. Contacting experienced pest control professionals can help property owners address ant issues efficiently and maintain a pest-free environment.

The overview below groups typical Ants Extermination Service projects into broad ranges so you can see how smaller, mid-sized, and larger jobs often compare in Euless, TX.

In many markets, a large share of routine jobs stays in the lower and middle ranges, while only a smaller percentage of projects moves into the highest bands when the work is more complex or site conditions are harder than average.

Initial Inspection - The cost for an ant inspection typically ranges from $50 to $150, depending on the property's size and location. This fee covers identifying the extent of the infestation and entry points. Some service providers include the inspection in the overall treatment cost.

Basic Treatment - Basic ant extermination services generally cost between $100 and $300 for standard residential properties. This includes applying ant baits and residual sprays to affected areas. Larger or more severe infestations may increase the price.

Comprehensive Service - For extensive ant problems, prices can range from $250 to $600, often involving multiple visits and targeted treatments. These services may include perimeter barriers and detailed nest eradication efforts.

Follow-up Treatments - Follow-up visits or ongoing monitoring services typically cost between $50 and $200 per session. These are recommended to ensure complete elimination and prevent future ant activity.

Actual totals will depend on details like access to the work area, the scope of the project, and the materials selected, so use these as general starting points rather than exact figures.

Get an Ants Extermination Service Quote

Ants Extermination services are essential for addressing ant infestations in residential and commercial properties. Local service providers offer targeted treatments to eliminate ants and prevent future invasions.

Ants Control solutions focus on identifying ant entry points and applying effective removal methods. Professionals help restore comfort and hygiene by managing ant problems efficiently.

Ants Removal services involve specialized techniques to remove existing ant colonies from indoor and outdoor spaces. Local experts assist in eradicating persistent ant issues safely and effectively.

Ants Pest Management includes integrated approaches to control ant populations and minimize damage. Service providers tailor treatments to the specific needs of each property.

Ants Barrier Treatments are designed to create protective barriers around properties to prevent ant entry. Local pros apply these treatments to safeguard homes and businesses from future infestations.

Ants Inspection and Extermination services involve thorough assessments to locate ant nests and identify infestation sources. Professionals then implement targeted extermination strategies to resolve the problem.

Ants Extermination Service

When selecting a professional for ants extermination services, it is important to consider the experience of local service providers. Experienced contractors often have a deeper understanding of ant behaviors and effective treatment methods, which can contribute to more reliable results. Homeowners should look for providers who have been active in the community for several years, as longevity can indicate a track record of consistent service and customer satisfaction.

Clear and written expectations are essential when working with local pros for pest control. Reputable service providers typically outline the scope of work, treatment procedures, and any necessary follow-up steps in written agreements or estimates. Having these details documented helps ensure transparency and allows homeowners to understand what services will be performed, what to expect during and after treatment, and any recommended maintenance or prevention measures.

Reputation and communication are key factors in choosing a pest control professional. Homeowners are encouraged to seek out providers with reputable references or reviews from previous clients, which can offer insights into the quality of service and professionalism. Additionally, effective communication-whether through prompt responses, clear explanations, or accessible customer service-can help build trust and ensure that all questions or concerns are addressed throughout the process.

Get an Ants Extermination Service Quote

Property owners in Euless, TX use Ants Extermination Service services for practical projects around their homes and businesses. The sections below highlight everyday jobs and straightforward project options.

Ants Extermination Service
Ants Extermination Service

Ants extermination services are often sought after by property owners in Euless, TX facing common household issues. When ants invade kitchens or pantry areas, they can become a persistent nuisance that disrupts daily routines. Property owners may look for professional assistance to effectively eliminate these pests and prevent future infestations, especially when DIY methods prove ineffective or temporary.

In addition to kitchen invasions, ants can be a concern around exterior foundations, garden beds, or outdoor living spaces. Homeowners might seek extermination services to address these outdoor problems and protect their property from damage or further pest activity. Local service providers can help identify the source of the ant problem and recommend appropriate treatment options to keep the property pest-free.

Get an Ants Extermination Service Quote

How do ant extermination services work? Ant extermination services typically involve inspecting the affected area, identifying ant species and entry points, and applying targeted treatments to eliminate colonies and prevent future infestations.

Are ant extermination treatments safe for pets and children? Most professional ant treatments are designed to be safe when applied by experienced service providers, but it is recommended to follow any specific safety instructions provided by the local pros.

How long does an ant extermination treatment usually last? The duration of effectiveness varies depending on the treatment method and ant species, but local service providers can offer guidance on maintenance and re-treatment schedules.

What types of ant infestations can be treated? Ant extermination services can address a variety of ant species, including common household ants, carpenter ants, and fire ants, among others.

How can I prevent future ant infestations? Local pros often recommend sealing entry points, removing food sources, and maintaining cleanliness to reduce the likelihood of future ant problems.

Ants Extermination Techniques - Local service providers offer various methods to effectively eliminate ant infestations, including baiting and targeted treatments.

Inspection and Identification - Professionals can assess property conditions to identify ant entry points and nesting areas for tailored extermination plans.

Preventive Solutions - Experts recommend strategies to reduce attractants and seal entry points, helping to prevent future ant problems.

Ongoing Monitoring and Maintenance - Regular inspections by local pros can ensure ant issues are managed and do not recur.

Ants Extermination Service

Considering Ants Extermination Service for a property in Euless, TX? The sections above highlight common project types, practical options, and details that often shape the scope of work.

When you are ready, use the quote form to share a few details about your project. Local pros can review the basics and respond with options that match what you have in mind.

Get an Ants Extermination Service Quote

Ants Extermination Quotes

Our Trusted Partners
Cantu Pest Control
Orkin
Hawx Pest Control