Local Service Overview

Get Black Ant Extermination in Plano, TX

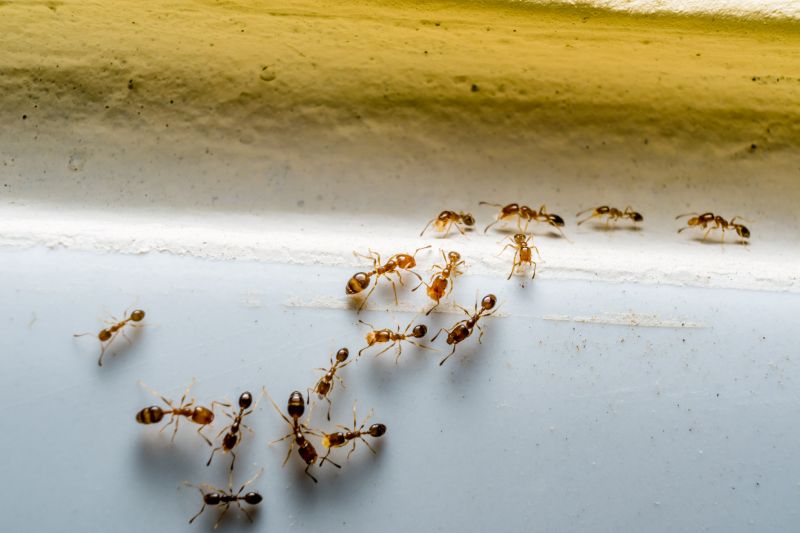
Black Ant Extermination services for property owners in Plano, TX, and nearby areas address ant infestations, prevent future outbreaks, and treat affected structures through professional pest control solutions.

Plano, TX

Black ant extermination services provide property owners in Plano, TX with an effective solution to control and eliminate ant infestations. These services help maintain a comfortable living and working environment by preventing the nuisance and potential damage caused by ants entering homes and businesses. Proper extermination not only enhances safety by reducing the presence of pests but also supports the overall functionality and durability of structures by protecting them from potential damage and deterioration.

Engaging professional exterminators can lead to benefits such as improved curb appeal and reduced ongoing maintenance needs. Eliminating ant populations helps preserve the appearance of outdoor spaces and building exteriors, contributing to a more attractive property. Additionally, regular pest control efforts can minimize future infestations, saving property owners time and effort while ensuring their spaces remain safe, functional, and visually appealing.

Get Black Ant Extermination Quotes

  • Black Ant Extermination - Necessary when black ants invade kitchens, pantries, or other indoor spaces.
  • Black Ant Extermination - Recommended for property owners dealing with persistent outdoor ant colonies near residential areas.
  • Black Ant Extermination - Needed when black ants are found nesting in wall voids or beneath flooring.
  • Black Ant Extermination - Suitable for businesses experiencing black ant activity in commercial or storage areas.
  • Black Ant Extermination - Essential when black ants threaten to infest gardens, landscaping, or outdoor patios.

Get Black Ant Extermination Quotes

Black Ant Extermination
Black Ant Extermination
Black Ant Extermination

Black ant extermination services are designed to address infestations of these persistent pests. Professionals typically conduct thorough inspections to identify the extent of the ant problem and locate nesting sites. Treatment methods may include applying targeted insecticides, baiting systems, and other pest control techniques to eliminate black ants at their source. These services aim to reduce ant populations effectively and prevent future invasions, helping property owners maintain a pest-free environment.

Black ants can cause various issues for residential and commercial properties. They often invade kitchens, pantries, and other areas where food is stored, contaminating supplies and creating sanitation concerns. In some cases, black ants may form large colonies that can damage structures by nesting in wall voids or under flooring. Their presence can also be a nuisance, disrupting daily activities and diminishing the comfort of indoor spaces. Professional extermination services help resolve these problems by eliminating colonies and implementing measures to discourage re-infestation.

Properties that typically utilize black ant extermination services include single-family homes, apartment complexes, restaurants, and retail establishments. Residential properties often seek pest control to protect food supplies and maintain hygiene standards. Commercial properties, especially those involved in food service or retail, prioritize pest management to comply with health regulations and ensure customer satisfaction. Additionally, property managers and landlords frequently contact pest control providers to address infestations promptly and prevent widespread issues across multiple units or buildings.

Engaging with local pest control providers for black ant extermination offers tailored solutions suited to specific property types and infestation levels. These professionals assess the unique conditions of each property and recommend appropriate treatment strategies. By working with experienced service providers, property owners can effectively manage ant problems, minimize damage, and restore comfort and cleanliness to their spaces. Proper pest control measures can also contribute to long-term prevention, reducing the likelihood of future black ant invasions.

The overview below groups typical Black Ant Extermination projects into broad ranges so you can see how smaller, mid-sized, and larger jobs often compare in Plano, TX.

In many markets, a large share of routine jobs stays in the lower and middle ranges, while only a smaller percentage of projects moves into the highest bands when the work is more complex or site conditions are harder than average.

Initial Black Ant Extermination - The cost for a one-time treatment typically ranges from $150 to $300, depending on the extent of the infestation. This includes inspection, treatment, and follow-up if necessary.

Ongoing Black Ant Control - Monthly or quarterly service plans usually cost between $50 and $100 per visit. These plans help maintain ant-free conditions over time and may include multiple visits.

Large Infestation Treatments - For severe or widespread black ant problems, prices can range from $300 to $600 or more. Extra charges may apply for extensive property treatments or multiple visits.

Additional Service Costs - Extra charges may be incurred for specialized treatments, such as baiting or barrier applications, which can add $50 to $200 to the overall cost depending on the property's size and complexity.

Actual totals will depend on details like access to the work area, the scope of the project, and the materials selected, so use these as general starting points rather than exact figures.

Get a Black Ant Extermination Quote

Ant Extermination - Local pest control providers offer targeted treatments to eliminate black ants and prevent future infestations in residential and commercial properties.

Indoor Ant Control - Service providers specialize in interior treatments to address black ant colonies inside homes and buildings, ensuring a thorough eradication.

Outdoor Ant Barrier Services - Pros can establish barriers around properties to block ant entry points and reduce the likelihood of outdoor colonies affecting indoor spaces.

Ant Inspection and Identification - Local experts perform inspections to identify ant species and infestation severity, guiding effective treatment plans.

Sanitation and Prevention Advice - Service providers offer recommendations on sanitation and property maintenance to minimize attractants for black ants.

Residential and Commercial Ant Treatments - Professionals are equipped to handle ant extermination in both homes and business environments, addressing unique needs of each setting.

Black Ant Extermination

When selecting a professional for black ant extermination, it is important to consider the experience and background of local service providers. Homeowners should look for pros who have a proven track record in pest control, specifically with ant management. Gathering information about their years in the industry and their familiarity with local pest issues can help ensure that the chosen professional understands the unique challenges of the area, such as those specific to neighborhoods in Plano, TX.

Clear communication and transparent written expectations are essential when working with local contractors. Homeowners should seek out providers who offer detailed service descriptions, including the methods used and any preparations required prior to treatment. Establishing open lines of communication helps ensure that both parties are aligned on the scope of work and any follow-up procedures, reducing misunderstandings and ensuring a smoother experience.

Reputable references and reviews can serve as valuable indicators of a contractor’s reliability and quality of service. Homeowners are encouraged to ask for references or look for testimonials from previous clients in the area. Reliable providers often have a history of positive feedback and can provide contact information for past customers. While the site introduces local options, it is important to remember that it does not perform the work itself but connects homeowners with qualified local pros who can meet these criteria.

Get a Black Ant Extermination Quote

Property owners in Plano, TX use Black Ant Extermination services for practical projects around their homes and businesses. The sections below highlight everyday jobs and straightforward project options.

Black Ant Extermination
Black Ant Extermination

Black ant extermination services are commonly sought by property owners in Plano, TX, dealing with persistent ant infestations that threaten the comfort and hygiene of their homes or businesses. These pests can invade kitchens, storage areas, and outdoor spaces, often leading to concerns about cleanliness and potential property damage. Local service providers specialize in identifying ant entry points, assessing the extent of the infestation, and applying targeted treatments to eliminate colonies effectively.

Property owners may also look for ant extermination when experiencing recurring problems despite previous efforts or when establishing a pest-free environment before hosting events or welcoming new tenants. Professional exterminators can offer tailored solutions to address specific ant species common in the Plano area, helping to prevent future invasions and maintain a pest-free property.

Get a Black Ant Extermination Quote

Why are black ants attracted to my home? Black ants are drawn to food sources, moisture, and shelter around the home, which can lead them indoors in search of these resources.

How can I identify a black ant infestation? Signs include visible trails of ants, small piles of dirt or debris near entry points, and the presence of ants inside the home or around the foundation.

What extermination methods do local pros use for black ants? Professionals typically employ targeted baiting, perimeter treatments, and interior spot applications to eliminate black ant colonies effectively.

Are black ants dangerous to my household? Black ants are generally not harmful to humans but can contaminate food and create nuisance issues within the home.

How can I prevent future black ant infestations? Keeping your home clean, sealing entry points, and removing food and water sources can help reduce the likelihood of black ant invasions.

Black Ant Extermination Techniques - Explore various methods used by local pros to effectively eliminate black ants from residential and commercial properties.

Signs of Black Ant Infestation - Learn how to identify common indicators of black ant presence to determine when professional extermination may be needed.

Preventive Measures for Black Ants - Discover strategies recommended by local experts to reduce the risk of future black ant invasions around the property.

Choosing a Black Ant Exterminator - Find tips on selecting qualified service providers in Plano, TX, and nearby areas for effective black ant control.

Black Ant Extermination

Considering Black Ant Extermination for a property in Plano, TX? The sections above highlight common project types, practical options, and details that often shape the scope of work.

When you are ready, use the quote form to share a few details about your project. Local pros can review the basics and respond with options that match what you have in mind.

Get a Black Ant Extermination Quote

Black Ant Extermination Quotes

Our Trusted Partners
Cantu Pest Control
Orkin
Hawx Pest Control