Local Service Overview

Get Black Ant Extermination in Keller, TX

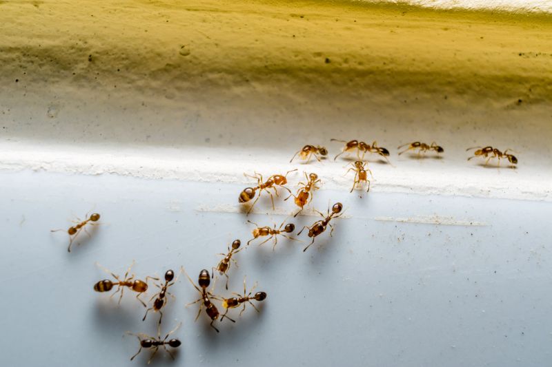
Black Ant Extermination services for Keller, TX, and nearby areas address ant infestations, nests, and related pest problems through professional removal and preventative treatments.

Keller, TX

Black ant extermination services are a practical solution for property owners in Keller, TX seeking to maintain a comfortable and safe living environment. Ant infestations can disrupt daily routines and compromise the safety of a home’s interior and exterior spaces. Professional extermination helps eliminate these pests effectively, reducing the risk of structural damage, contamination, and unsanitary conditions. By addressing ant issues promptly, property owners can enjoy a more functional and enjoyable space, free from the nuisance and potential hazards posed by these insects.

Choosing professional ant extermination also offers benefits related to durability and reduced maintenance. Proper treatment can prevent future invasions, helping to preserve the integrity of the property’s structure and landscaping. Enhanced curb appeal is another advantage, as a pest-free exterior contributes to a well-maintained appearance. Overall, expert extermination services provide peace of mind, supporting long-term comfort and ensuring the property remains a safe, attractive, and functional place to live.

Get Black Ant Extermination Quotes

  • Ant Extermination - needed when black ants invade kitchens, pantries, or other indoor spaces in Keller, TX and surrounding areas.
  • Outdoor Ant Control - necessary for homeowners dealing with black ant colonies in lawns, gardens, or landscape beds.
  • Perimeter Pest Treatments - effective when black ants are found along the foundation or entry points of a property.
  • Infestation Removal - required in cases of large black ant colonies causing damage or persistent nuisance.
  • Preventative Ant Services - recommended to reduce the likelihood of future black ant invasions in residential or commercial properties near Dallas and nearby communities.

Get Black Ant Extermination Quotes

Black Ant Extermination
Black Ant Extermination
Black Ant Extermination

Black ant extermination services focus on identifying and eliminating ant infestations that can invade various types of properties. These services typically involve thorough inspections to locate ant colonies and entry points, followed by targeted treatments to eradicate the pests. Treatment methods may include the application of bait stations, residual insecticides, or dusts designed to eliminate ants at different stages of their life cycle. The goal is to reduce or remove ant populations effectively, preventing further intrusion and damage.

Ant problems can pose significant nuisances and, in some cases, health concerns, especially if the infestation is extensive or involves species that may contaminate food or surfaces. Black ants, often called pavement ants or sugar ants, tend to invade kitchens, pantries, and other areas where food is stored or prepared. An infestation can lead to unsanitary conditions and attract other pests. Professional extermination services help address these issues by implementing comprehensive treatment plans that target both visible ants and hidden colonies, reducing the likelihood of recurring problems.

Properties that commonly utilize black ant extermination services include residential homes, especially those with gardens or landscaping that attract ants. Apartment complexes and multi-family buildings often require ongoing pest management to control infestations across shared spaces. Commercial properties, such as restaurants, grocery stores, and food processing facilities, also frequently seek professional assistance to maintain hygiene standards and prevent ant-related contamination. Additionally, property managers and landlords often engage pest control providers to manage ant issues proactively and maintain property value.

Professional extermination services are suitable for a variety of property types that experience ant activity, whether due to environmental factors or structural vulnerabilities. These services are often tailored to the specific needs of each property, considering factors like size, location, and the severity of the infestation. By working with local pest control providers, property owners and managers can access targeted solutions designed to effectively control black ant populations and minimize disruptions caused by these pests.

The overview below groups typical Black Ant Extermination projects into broad ranges so you can see how smaller, mid-sized, and larger jobs often compare in Keller, TX.

In many markets, a large share of routine jobs stays in the lower and middle ranges, while only a smaller percentage of projects moves into the highest bands when the work is more complex or site conditions are harder than average.

Initial Inspection - The cost for a black ant inspection typically ranges from $50 to $150, depending on the property size and complexity. This fee covers a thorough assessment to identify ant activity and entry points.

Basic Treatment - Standard black ant extermination services usually cost between $150 and $300 for a single treatment. Prices may vary based on the extent of infestation and treatment method used.

Multiple Treatments - For ongoing or severe infestations, multiple treatments can range from $300 to $600 or more. Service providers may recommend follow-up visits to ensure complete eradication.

Additional Services - Extra services such as perimeter barriers or nest removal often add $50 to $200 to the total cost. These options depend on the specific needs identified during inspection.

Actual totals will depend on details like access to the work area, the scope of the project, and the materials selected, so use these as general starting points rather than exact figures.

Get a Black Ant Extermination Quote

Black Ant Extermination services are connected to local pest control providers who specialize in identifying and eliminating black ant infestations. These professionals use targeted methods to address specific ant species and prevent future issues.

Ant Infestation Removal services involve local experts skilled in assessing the extent of black ant problems and implementing effective eradication techniques. They help restore pest-free environments in residential and commercial properties.

Ant Prevention Solutions are offered by local pest control specialists who develop customized plans to prevent black ant re-infestation. These services often include sealing entry points and advising on sanitation practices.

Residential Ant Control services are provided by local pros experienced in treating black ant issues within homes. They focus on safe and effective methods suitable for living spaces.

Commercial Ant Extermination services connect businesses with local pest control providers equipped to handle black ant problems in commercial settings. These services aim to minimize disruption and maintain a pest-free environment.

Eco-Friendly Ant Treatments are available through local service providers who utilize environmentally conscious products to manage black ant populations. These options are designed to reduce chemical impact while effectively controlling pests.

Black Ant Extermination

When selecting a professional for Black Ant Extermination services, it is important to consider their experience in handling ant infestations. Homeowners should look for local providers who have a proven track record in pest control, particularly with ant species common to the Keller, TX area. Experienced contractors are more likely to understand the behavior of black ants and employ effective strategies to manage and eliminate them efficiently. Gathering information about a service provider’s background can help ensure that the chosen professional has the necessary expertise to address specific pest issues.

Clear communication and well-defined expectations are key factors when working with pest control providers. Reputable local pros typically outline the scope of their services, the methods they use, and any preparations needed before treatment. Homeowners are encouraged to seek providers who are transparent about their process, which can help foster understanding and trust throughout the service. Establishing mutual expectations early can contribute to a smoother experience and better results in pest management.

References and reputation play a significant role in selecting a reliable pest control professional. Homeowners can benefit from seeking out local providers with positive feedback or recommendations from previous clients. Reputable service providers often have a history of satisfied customers and can provide references upon request. Good communication, combined with a solid reputation and experience, can help ensure that the homeowner finds a trustworthy professional capable of effectively addressing black ant infestations without the need for direct guarantees or promises.

Get a Black Ant Extermination Quote

Property owners in Keller, TX use Black Ant Extermination services for practical projects around their homes and businesses. The sections below highlight everyday jobs and straightforward project options.

Black Ant Extermination
Black Ant Extermination

Black ant extermination services are often sought by property owners in Keller, TX, facing persistent ant invasions that disrupt daily life. These pests can infiltrate homes and businesses, especially during warmer months, leading to concerns about cleanliness and comfort. Local service providers can help identify the source of the infestation and implement targeted treatments to eliminate black ants and prevent future problems.

Property owners may also look for black ant extermination when noticing increased activity around foundations, kitchens, or outdoor spaces. Ant colonies can pose challenges for maintaining a tidy environment, and professional exterminators offer solutions to control and remove these insects effectively. Connecting with experienced local providers can assist in managing ant issues efficiently and maintaining a pest-free property.

Get a Black Ant Extermination Quote

Why are black ants a problem? Black ants can invade homes in search of food and moisture, potentially causing nuisance and contamination.

How do exterminators eliminate black ants? Professionals use targeted treatments such as baits and insecticides to eliminate black ant colonies effectively.

Are black ants likely to return after treatment? Proper treatment by local pros can reduce the likelihood of black ants returning, but ongoing prevention may be recommended.

What signs indicate a black ant infestation? Visible ant trails, discarded wings, and increased ant activity near food sources are common signs of an infestation.

How can I prevent black ants from entering my home? Sealing entry points, keeping areas clean, and removing food sources can help prevent black ant invasions.

Black Ant Extermination Techniques - Local pest control providers utilize various methods to effectively eliminate black ants from residential and commercial properties.

Signs of Black Ant Infestation - Professionals can identify common indicators such as ant trails, nests, and structural entry points to assess infestation levels.

Preventative Black Ant Control - Experts recommend strategies like sealing entry points and removing attractants to reduce the likelihood of future ant problems.

Choosing a Black Ant Exterminator - Contacting experienced local providers ensures tailored solutions to address black ant issues efficiently.

Black Ant Extermination

Considering Black Ant Extermination for a property in Keller, TX? The sections above highlight common project types, practical options, and details that often shape the scope of work.

When you are ready, use the quote form to share a few details about your project. Local pros can review the basics and respond with options that match what you have in mind.

Get a Black Ant Extermination Quote

Black Ant Extermination Quotes

Our Trusted Partners
Cantu Pest Control
Orkin
Hawx Pest Control