Local Service Overview

Get Black Ant Extermination in Lewisville, TX

Black Ant Extermination services for Lewisville, TX, and nearby areas address ant infestations, including residential and commercial pest removal and prevention projects.

Lewisville, TX

Black ant extermination services are a practical solution for property owners in Lewisville, TX seeking to maintain a comfortable and safe environment. Ant infestations can disrupt daily routines, damage structures, and create unsanitary conditions, making professional removal essential for peace of mind. Experienced service providers utilize effective methods to eliminate existing colonies and implement preventative measures, helping to preserve the functionality and durability of a property’s exterior and interior spaces.

Choosing professional ant extermination can also enhance curb appeal by preventing unsightly mounds and trails from marring outdoor areas. Reduced pest activity minimizes the need for ongoing maintenance and repairs, while the overall safety of the home or business is improved by controlling potential sources of contamination or structural damage. Contacting local experts ensures tailored solutions that address specific ant issues, supporting long-term comfort and property value.

Get Black Ant Extermination Quotes

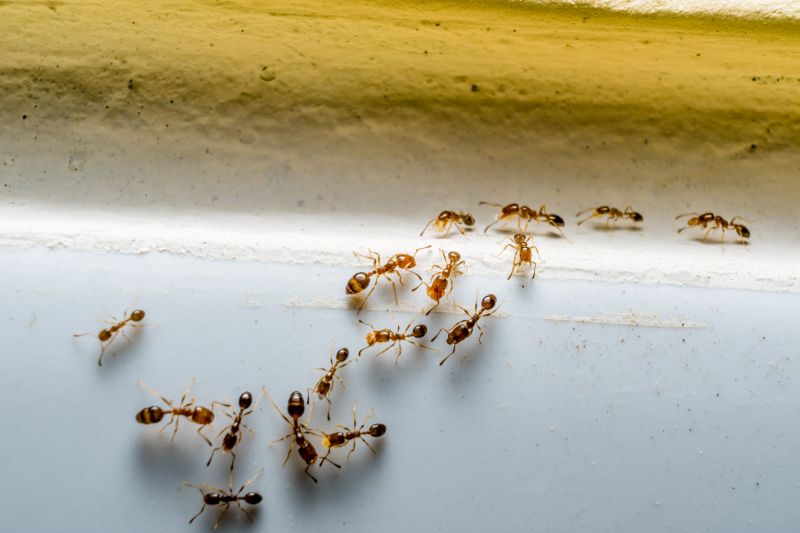
  • Ant Extermination - needed when black ants invade kitchens, pantries, or outdoor areas around Lewisville, TX.
  • Indoor Ant Control - required if black ants become a persistent nuisance inside homes or commercial properties.
  • Outdoor Ant Removal - necessary to eliminate black ant colonies in lawns, gardens, or surrounding landscapes near Dallas and nearby cities.
  • Seasonal Ant Treatments - used to prevent ant infestations during peak activity periods in North Texas.
  • Emergency Ant Extermination - needed when black ant swarms suddenly appear or infestations escalate rapidly in residential areas.

Get Black Ant Extermination Quotes

Black Ant Extermination
Black Ant Extermination
Black Ant Extermination

Black ant extermination services focus on identifying and eliminating infestations of black ants from residential, commercial, and industrial properties. These services typically involve thorough inspections to locate ant colonies and entry points, followed by targeted treatment methods to eradicate the pests. Service providers may use a combination of baiting, liquid treatments, and dusts to ensure the complete removal of black ants and prevent future invasions. The goal is to address the root of the problem efficiently, reducing the likelihood of recurring issues and minimizing the impact on the property.

Black ant problems can cause significant nuisances for property owners, particularly when colonies grow large or spread throughout a building. These insects are known to invade kitchens, pantries, and other areas where food is stored, contaminating supplies and creating unsanitary conditions. In some cases, black ants may also damage structures by nesting within walls or beneath floors. Extermination services help manage these issues by removing the pests and implementing preventive measures to keep black ants from returning, thereby maintaining a cleaner, safer environment.

Properties that commonly utilize black ant extermination services include single-family homes, apartment complexes, restaurants, and retail stores. Residential properties often seek treatment to eliminate black ants from kitchens and living areas, especially during warmer months when ant activity increases. Commercial properties, such as food establishments and warehouses, prioritize pest control to comply with health standards and avoid disruptions caused by infestations. Additionally, offices and industrial facilities may request extermination services to protect inventory and maintain a pest-free workspace.

Professional black ant extermination services are designed to address the specific needs of each property type and infestation severity. Local service providers offer tailored solutions that consider the layout of the property, the extent of the ant problem, and potential entry points. By working with experienced pest control specialists, property owners can effectively reduce black ant populations and prevent future invasions. Contacting local pros ensures that appropriate and effective treatment options are applied to keep properties free from these persistent pests.

The overview below groups typical Black Ant Extermination projects into broad ranges so you can see how smaller, mid-sized, and larger jobs often compare in Lewisville, TX.

In many markets, a large share of routine jobs stays in the lower and middle ranges, while only a smaller percentage of projects moves into the highest bands when the work is more complex or site conditions are harder than average.

Initial Inspection - The cost for a black ant extermination inspection typically ranges from $100 to $200. This fee covers a thorough assessment of the affected areas to identify ant activity and nesting sites.

One-Time Treatment - A single treatment for black ant control usually costs between $150 and $300. The price varies based on the size of the property and the extent of the infestation.

Ongoing Pest Control - Regular maintenance plans for black ant extermination can range from $40 to $70 per month. These services include scheduled treatments to prevent future infestations.

Additional Services - Extra treatments or specialized solutions may add $50 to $150 per visit. Costs depend on the severity of the ant problem and specific property needs.

Actual totals will depend on details like access to the work area, the scope of the project, and the materials selected, so use these as general starting points rather than exact figures.

Get a Black Ant Extermination Quote

Black Ant Extermination services involve specialized techniques to eliminate black ant infestations effectively. Local pest control providers can assess the extent of the problem and recommend appropriate treatment options.

Black Ant Control solutions focus on removing black ants from residential or commercial properties, helping to prevent future invasions through targeted treatments.

Black Ant Prevention strategies aim to identify and eliminate attractants and entry points, reducing the likelihood of recurring infestations in Lewisville and nearby areas.

Black Ant Inspection services include thorough evaluations to locate nests and identify the extent of the infestation for more effective treatment planning.

Black Ant Baiting techniques utilize bait stations to attract and eliminate black ants at the source, providing a long-term solution to infestations.

Black Ant Barrier Treatments involve applying treatments around the perimeter of properties to create a protective barrier against black ant entry and reinfestation.

Black Ant Extermination

When selecting a professional for Black Ant Extermination services, it is important to consider their experience in handling ant control specifically. Homeowners should look for local providers with a proven history of managing ant infestations effectively in residential settings. A contractor’s familiarity with the behavior and habits of black ants can influence the success of the treatment, so reviewing their background and areas of expertise can help ensure the chosen professional is well-equipped for the task.

Clear communication and well-defined expectations are key when working with a pest control service. Reputable providers typically offer detailed explanations of their treatment methods, what homeowners can expect during and after the service, and any necessary follow-up procedures. Establishing transparent communication helps prevent misunderstandings and ensures that homeowners are informed about the scope and results of the extermination process.

References and reputation are valuable indicators of a local pest control provider’s reliability. Homeowners are encouraged to seek out reputable references or reviews from previous clients in the Lewisville, TX area. This feedback can provide insights into the professionalism, responsiveness, and effectiveness of the pros, helping to make a more informed decision. Keep in mind, the site connects users with local service providers and does not perform the extermination work directly.

Get a Black Ant Extermination Quote

Property owners in Lewisville, TX use Black Ant Extermination services for practical projects around their homes and businesses. The sections below highlight everyday jobs and straightforward project options.

Black Ant Extermination
Black Ant Extermination

Black ant extermination services are often sought by property owners in Lewisville, TX, experiencing persistent ant activity around their homes or businesses. Common reasons include the presence of large ant colonies in yards or inside structures, which can lead to nuisance issues and potential property damage. Property owners may also look for professional help when ant infestations become difficult to manage with DIY methods, especially if ants are invading kitchens, food storage areas, or other interior spaces.

In addition, residents and business owners might seek extermination services to prevent future ant problems or to address recurring issues after previous treatments. Factors such as seasonal ant activity, the discovery of ant trails, or sightings of large numbers of ants can prompt property owners to contact local service providers. These professionals can assess the situation and recommend appropriate treatment options to help maintain a pest-free environment.

Get a Black Ant Extermination Quote

Why do black ants invade homes? Black ants are often attracted to food sources and moisture inside homes, leading them to seek shelter and resources indoors.

How can I tell if I have a black ant infestation? Signs include visible ant trails, small piles of dirt near entry points, and finding ants in kitchens or bathrooms.

What extermination methods do professionals use for black ants? Local pest control providers typically use targeted treatments such as baits and residual sprays to eliminate black ant colonies.

Are black ants dangerous to humans or pets? Black ants are generally not harmful but can contaminate food and cause minor nuisance issues inside homes.

How can I prevent black ants from returning? Keeping your property clean, sealing entry points, and removing attractants can help reduce the likelihood of future infestations.

Black Ant Extermination Techniques - Local professionals can assess the extent of ant infestations and recommend effective removal methods tailored to specific environments.

Preventative Black Ant Treatments - Service providers offer strategies to reduce the likelihood of future ant problems through targeted barriers and treatment plans.

Inspection and Identification Services - Experts can identify black ant activity and determine the source of nests to inform appropriate extermination approaches.

Ongoing Monitoring Solutions - Professionals may provide monitoring options to ensure black ant issues are managed and do not recur.

Black Ant Extermination

Considering Black Ant Extermination for a property in Lewisville, TX? The sections above highlight common project types, practical options, and details that often shape the scope of work.

When you are ready, use the quote form to share a few details about your project. Local pros can review the basics and respond with options that match what you have in mind.

Get a Black Ant Extermination Quote

Black Ant Extermination Quotes

Our Trusted Partners
Cantu Pest Control
Orkin
Hawx Pest Control